family CERAMBYCIDAE Latreille, 1802
subfamily LEPTURINAE Latereille, 1802
tribe Rhagiini Kirby, 1837
genus Rhagium Fabricius, 1775
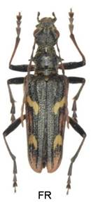
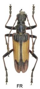
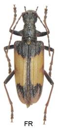
Rhagium bifasciatum Fabricius, 1775
subgenus Hagrium Villiers, 1978























Velikost 12-22 mm.
Bionomie. Vyskytuje se v jehličnatých a smíšených porostech od nížin do vysokých hor až po stromovou hranici. Vývoj larev v dříve odumřelém neporušeném i zahnívajícím vlhčím dřevě, pařezech i ležícím dřevě ve stínu. Ve stejném dřevě se vyvíjí obvykle více generací. Doba vývoje dvouletá. Kukelní komůrky jsou ve dřevě, někdy přímo při povrchu, někdy až 15-20 cm hluboko ve dřevě. Chodby jsou ucpány drtí s exkrementy, později i s delšími třískami dřeva dlouhými až 10 mm. Výstupní chodba z kukelní komůrky je rovněž ucpána třískami. Druhou zimu přezimují ve dřevě již imága, která na jaře si vyhlodávají výletové otvory a opouštějí dřevo. - Imága se vyskytují od V., na horách někdy ještě v VIII., jak na dříví, tak na různých květech, zejména Sorbusa Crataegus.
Živné rostliny - Vyskytuje se především na jehličnatých dřevinách Pinus, Picea, Larix, Abies, ale je znám i z celé řady listnatých dřevin Alnus, Quercus; uvádí se též Corylus, Betula, Fraxinus, Fagus, Carpinus, Populus, Pirus, Sarothamnus aj. V Quercus (Řevnice) jsem tento druh nalezl pouze jednou pod kůrou pařezu, kde imágo mělo jako kukelní komůrku vyhlodanou jen plochou mělkou jamku do bělového dřeva a celý požerek byl pouze pod kůrou.
Variabilita. Obvykle mívají imaga dvě příčné žluté pásky. Zřídka jde o velmi variabilní druh. Zejména zbarvení žlutých pásek je někdy redukováno, někdy se rozšiřuje, až mohou být krovky téměř žluté.
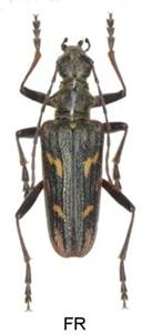
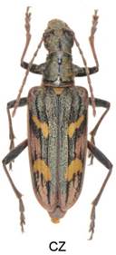
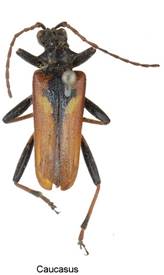
Rhagium inguisitor inquisitor Linnaeus, 1758
subgenus Rhagium Fabricius, 1775









Velikost 10-21 mm.
Bionomie. Vývoj larev pod kůrou jehličnatých dřevin všech typů porostů. Napadá dřevo bez ohledu na to, zda jde o pokácené na zemi ležící kmeny, vývraty i stojící odumírající stromy. Dává přednost silnější kůře v nadzemní výšce do několika metrů, ale často jsou napadány zejména u silných Abies kmeny i ve výšce 10 - 15 m. Samička klade vajíčka do dříví, které před nedávnem uhynulo, nebo bylo pokáceno. Zřídka klade do stejného dřeva ještě příštím rokem. Larvy vyžírají poměrně široké ploché chodby mezi kůrou a dřevem. Před zakuklením si larva vyhlodá plochou komůrku a obloží ji typickým věnečkem třísek vykousaných ze dřeva. Vývoj obvykle dvouletý. Poprvé zimují larvy, které se na konci dalšího léta zakuklí a druhou zimu přezimují již imága. Rhagium inquisitor je jedním z prvých jarních brouků, který po několika teplých jarních dnech si prokouše výletový otvor, kterým vyleze ven. - Venkovní výskyt imág IV. - VII., maximum V. Údaje o pozdně letním výskytu jsou ovlivněny pravděpodobně již brouky další generace, kteří se dostali z různých příčin z pod kůry ven. Imága na pařezech, pokáceném dříví, vývratech apod. za teplých dnů hromadně létají zejména na čerstvých pasekách. Vyskytuje se v nížinách i vysoko v horách.
Živné rostliny - Picea, Pinus, Abies, Larix; udávají se i listnaté dřeviny Betula, Fagus, Quercus.
Variabilita. Tvar černých i světlých skvrn na krovkách je velmi variabilní.
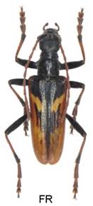
Rhagium mordax (DeGeer, 1775)
subgenus Megarhagium Reitter, 1913






Velikost 13-23 mm.
Bionomie. Druh listnatých, převážně bukových, ale často i jehličnatých porostů. Vývoj mezi kůrou a dřevem celé řady dřevin. Napadá čerstvě pokácené, nebo uhynulé dřevo, pařezy, zbytky po těžbě apod., kuklí se pod kůrou v typických kruhových komůrkách z vykousaných třísek. Vývoj dvouletý. Druhou zimu přezimuje jako imágo. - Imága se vyskytují jak na dříví, tak na květech, zejména Sorbus, Viburnum, Sambucus, Aruncus, Apiaceae atd. V. - VIII., maximum V .- VI.
Živné rostliny - Zejména na listnatých stromech Fagus, Alnus, Acer, Carpinus, Quercus, Salix, Salix caprea, Sorbus, Tilia, Betula, Populus tremula, Ulmus; Fraxinus, Pirus, Castanea, ale také na jehličnatých Abies a Picea.
Variabilita. Vzácně může být variabilní tvar žlutých pásek. Časté je celkové zbarvení do šeda, zvláště u imag, která se vyvíjela v bucích (Fagus).
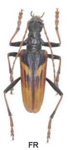
Rhagium sycophanta (Schrank, 1781)
subgenus Megarhagium Reitter, 1913












Velikost 15-28 mm.
Bionomie. Vývoj larev pod kůrou pařezů nebo ležících kmenů se silnější kůrou, s větší vlhkostí, též částečně zasahujících pod zem. Většina larev je v podzemní části, kuklení někdy v půdě. Doba vývoje je 2-3 letá. - Imága se vyskytují od V. do VII., maximum v V., ev. počátkem VI. Nejčastěji na kůře pařezů ze zimní a jarní těžby. Za teplého počasí často létají.
Živné rostliny - zpravidla Quercus, zřídka Betula, Alnus, uvádí se též Fagus, Acer, Tilia, Castanea.
Variabilita. Velmi vzácné se žluté zbarvené krovek rozšiřuje.
Rhagium fasciculatum Faldermann, 1837
subgenus Megarhagium Reitter, 1913

Rhagium bifasciatum Fabricius, 1775 CZ Pinus

CZ Picea

Rhagium inguisitor inquisitor Linnaeus, 1758 CZ Picea


